POWIERZCHNIA (M²)

CENA ZA M²

PIĘTRO

LICZBA POKOI

ROK BUDOWY

RYNEK

NUMER OFERTY

Poprzednia oferta
Powrót
Następna oferta

Mierzyn działka z mediami przy szkole

Działka na sprzedaż

Lokalizacja Mierzyn
Sezamkowa
Numer oferty ELT33827
Działka 917 m2
Cena 504 350 zł

Opis

Na sprzedaż działka budowlana, w świetnej lokalizacji na Mierzynie blisko nowej szkoły podstawowej.

Media: prąd, woda, kanalizacja przy granicy działki.


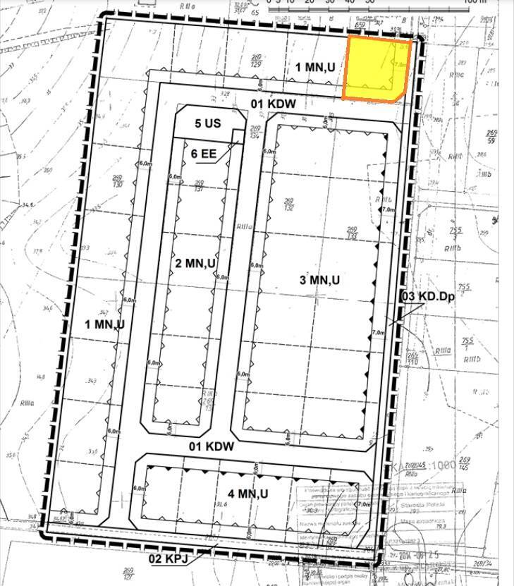
Działka w planie zagospodarowania przestrzennego oznaczona symbolem 1 MN,U przeznaczenie terenu :

1.) zabudowa mieszkaniowa wolnostojąca,
- dopuszcza się realizację usług nieuciążliwych w zakresie edukacji, kultury, gastronomii, handlu, usług medycznych, rehabilitacyjnych, kosmetycznych, biura, kancelarie, pracownie, o powierzchni całkowitej nieprzekraczającej 40% powierzchni całkowitej budynku.

2) dopuszczenie realizacji garaży wolnostojących, z wykluczeniem garaży blaszanych;
3) wysokość zabudowy:
a) maksymalną - 9,5 m, dwie kondygnacje nadziemne, w tym druga kondygnacja w dachu stromym,
b) minimalną - 6,5 m, z wyjątkiem garaży wolnostojących, dla których ustala się minimalną wysokość 4,0 m;

4) dachy dwuspadowe lub wielospadowe, o kątach nachylenia głównych połaci dachowych 35° ÷ 45°; dla garaży dopuszcza się dachy, o minimalnych kątach nachylenia głównych połaci dachowych 25°;

5) dopuszczenie zastosowania dachu płaskiego lub o mniejszym kącie nachylenia połaci dachowych w stosunku do określonego w pkt 4, nad częściami parterowymi budynku mieszkalnego, do 30% powierzchni zabudowy;

6) maksymalny wskaźnik powierzchni zabudowy: 25% powierzchni działki budowlanej;
7) intensywność zabudowy, rozumiana jako wskaźnik powierzchni całkowitej zabudowy (wszystkich kondygnacji nadziemnych) w odniesieniu do powierzchni działki budowlanej:
a) maksymalna - 0,50,
b) minimalna - 0,07;
8) minimalny wskaźnik powierzchni biologicznie czynnej - 40% powierzchni działki budowlanej.


Nieruchomość w świetnej lokalizacji, blisko nowej Szkoły i przedszkola, oraz sklepów, apteki, komunikacji miejskiej.
Oferta na wyłączność.

Zapraszam na prezentację


Szczegóły
Rodzaj oferty Działka na sprzedaż
Działka 917
Cena 504 350 zł (550 zł/m2)
Forma prawna gruntu Własność
Droga dojazdowa Utwardzona
Komunikacja autobus
Odległość od centrum miasta 2 km
Dostępne w okolicy kościół, przedszkole, sklep, Żłobek, szkoła, plac zabaw, zabudowa niska, apteka