POWIERZCHNIA (M²)

CENA ZA M²

PIĘTRO

LICZBA POKOI

ROK BUDOWY

RYNEK

NUMER OFERTY

Poprzednia oferta
Powrót
Następna oferta

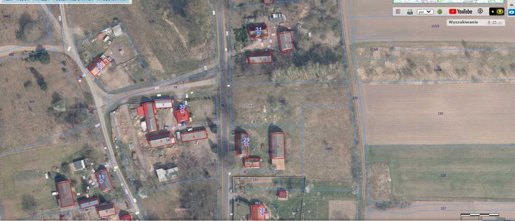
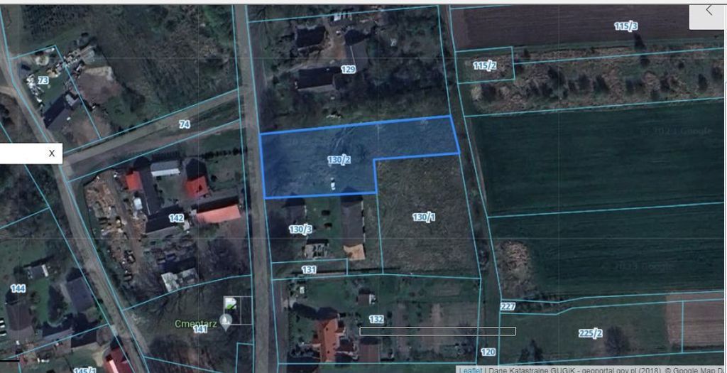
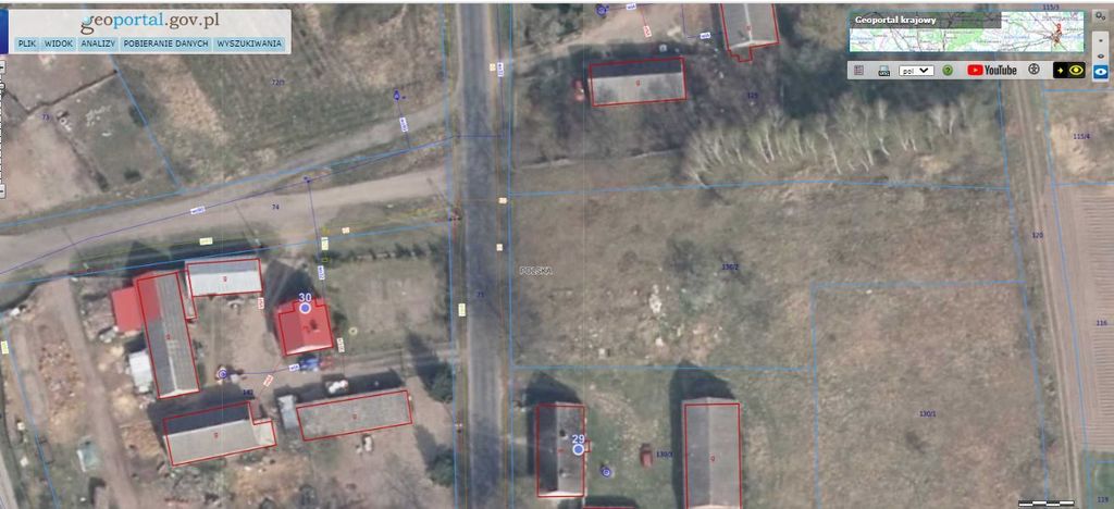
Działka 2400m2,Burowo, gm Goleniów

Działka na sprzedaż

Lokalizacja Burowo
Numer oferty INW31172
Działka 2400 m2
Cena 125 000 zł

Opis

Nieruchomość gruntowa niezabudowana zlokalizowana w miejscowości  Burowo, gm. Goleniów, pow. goleniowski, woj. zachodniopomorskie, o  powierzchni 2.400m2.
W ewidencji gruntów działka oz. symbolem użytku : RVI-grunty orne o pow. 0.1600 ha oraz PsV- pastwiska trwałe o pow. 0.08 ha.
Miejscowośc Burowo oddalona od Goleniowa ok. 12,1 km, droda DW 113.
 
Działka położona na terenie, gdzie nie obowiazuje miejscowy plan zagospodarowania przestrzennego. Nie leży na obszarze rewitalizacji oraz nie jest objęta uproszczonym planem urządzenia lasu.
Księga Wieczysta-bez obciążeń.

W otoczeniu niniejszej działki istnieje zabudowa mieszkaniowa i gospodarcza.
Działka położona w pierszej linii zabudowy. Dojazd z drogi głównej asfaltowej.
W drodze sieci uzbrojenia podziemnego: sieć gazowa, widociągowa. prąd.
Teren płaski, nie zadrzewiona, nie ogrodzona.

 Cena ofertowa do negocjacji.

 Zapraszam do zapoznania się z niniejszą nieruchomością gruntową.



Szczegóły
Rodzaj oferty Działka na sprzedaż
Działka 2400
Cena 125 000 zł (52 zł/m2)
Forma prawna gruntu Własność
Droga dojazdowa Asfaltowa